Strona główna / Menu Przedmiotowe / Przetargi WGN / Przetargi 2013 r.
|
WGN.6840.29.2013 Kościerzyna, 29 października 2013 r.
Ogłoszenie
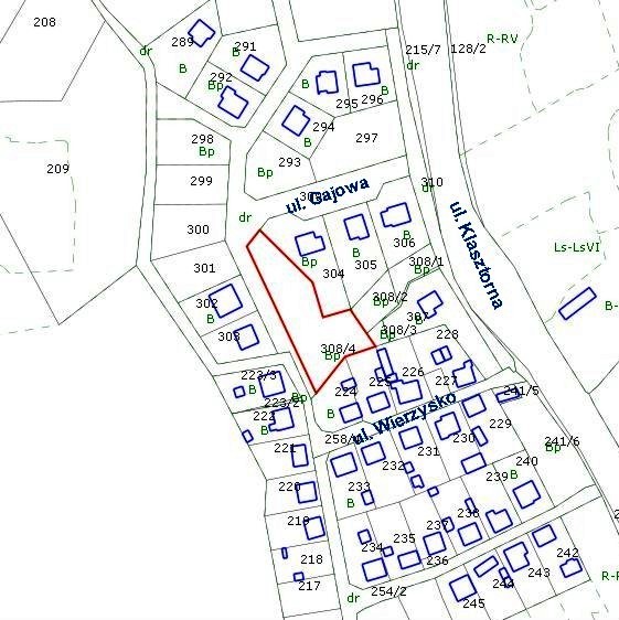
Burmistrza Miasta Kościerzyna w sprawie sprostowania oczywistej omyłki w ogłoszeniu Burmistrza Miasta Kościerzyna nr WGN.6840.29.2013, z dnia 11 października 2013 r. dotyczącego ogłoszenia pierwszych ustnych nieograniczonych przetargów na sprzedaż nieruchomości stanowiących własność Gminy Miejskiej Kościerzyna, obejmujących niezabudowane działki gruntu, położone na terenie miasta Kościerzyna, w ten sposób, że wiersz dziewiąty tego ogłoszenia otrzymuje następujące brzmienie:
Pozostałe warunki przetargów, m. in.: termin przetargu, termin wpłacenia wadium, wysokość wadium pozostają bez zmian.
BURMISTRZ Zdzisław Czucha Zał. graficzny: |
||||||||
|
WGN.6840.29.2013 Kościerzyna, 11 października 2013 r. OgłoszenieZał. graficzne: |
||||||||
| WGN.6840.28.2013 Kościerzyna, dnia 11 października 2013 r.
|
||||||||
|
WGN.6840.27.2013 Kościerzyna, dnia 11 października 2013 r.
|
||||||||
|
Kościerzyna, dnia 3 czerwca 2013 r. WGN.6845.71.2013
ODWOŁANIE AUKCJI
Zgodnie z art. 701 ustawy z dnia 23 kwietnia 1964 r. Kodeks cywilny (Dz. U. nr 16, poz. 93 z późn. zm.) oraz stosownie do warunków aukcji, pkt. II, ppkt. 7, odwołuję publiczną ustną aukcję na dzierżawę części działki ozn. nr geodez. 69 o pow. ca. 4,0240 ha, położonej w rejonie ulicy Jedności Robotniczej oraz części działki ozn. nr geodez. 74/3 o pow. ca. 1,3640 ha, położonej w rejonie ulicy Przemysłowej, do oddania w dzierżawę z przeznaczeniem pod farmę fotowoltaiczną, która miała się odbyć 5 czerwca 2013 r. o godz. 11:00 w siedzibie Urzędu Miasta Kościerzyna, ul. 3 Maja 9A.
BURMISTRZ Zdzisław Czucha
|
||||||||
|
Burmistrz Miasta Kościerzyna ogłasza: Załączniki graficzne: ul. Tetmajera, ul. Gończa |
||||||||
|
Burmistrz Miasta Kościerzyna ogłasza: Załączniki graficzne: ul. Tetmajera, ul. Gończa |
||||||||
| Podmiot : Urząd Miasta Kościerzyna | Czas wytworzenia : 2013-03-01 |
| Autor : Justyna Olszewska | Czas udostępnienia : 2013-03-01 15:06:12 |
| Edytor : Justyna Olszewska |
